6483:売土地 豊明市間米町八ツ屋 B区画
価格 | 2,750万円 |
---|---|
所在地 | 豊明市間米町八ツ屋 |
最寄駅 | 名鉄本線「前後」駅まで 徒歩12分 960m |
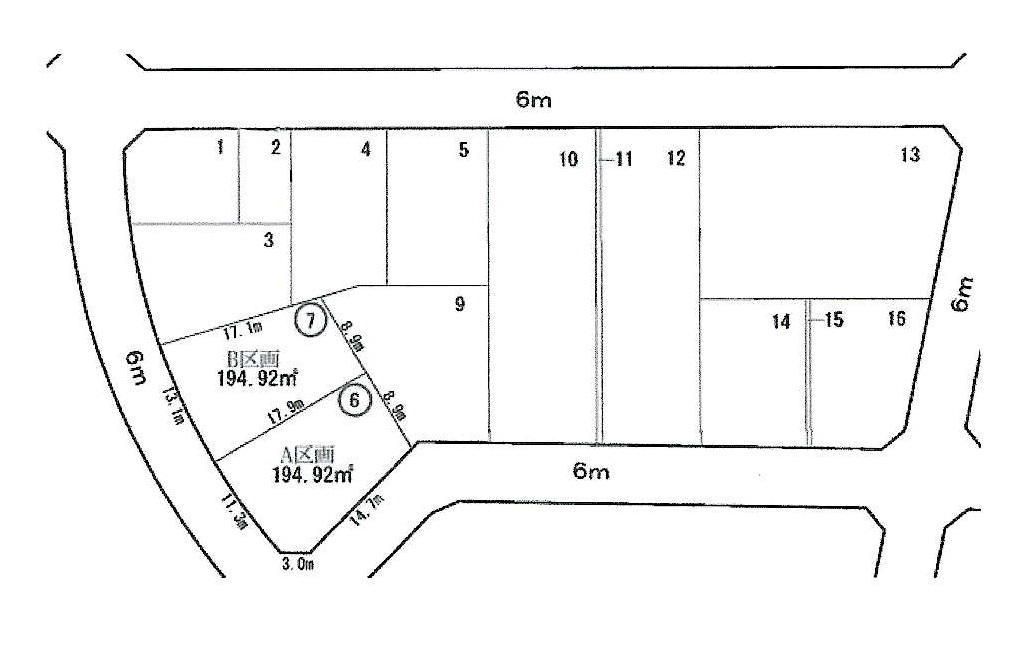
土地面積 | 194.92m²(58.96坪) |
私道面積 | - |
坪単価 | 46.63万円 |
学区 | 小学校区:二村台小学校 1,840m 中学校区:豊明中学校 1,200m |
建ぺい率 | 60% |
---|---|
容積率 | 200% |
地目 | 山林 |
用途地域 | 第二種中高層住居専用地域 |
現況 | その他 |
土地権利 | 所有権 |
取引態様 | 仲介 |
引渡時期 | 相談 |
セットバック | 無 |
---|---|
接道 | 南東 6m(幅員) 公道 13.1m(接面) |
諸費用 | 売買代金の10%程度 |
国土法届出 | 不要 |
都市計画 | 市街化区域 |
他法条例 | 建基法22条指定区域 |
建築条件 | 建築条件無 |
取引条件有効期限 | 令和07年10月15日 |
特色
【教育】☆リジョイス幼稚園 徒歩9分 ☆二村台小学校 徒歩23分 ☆豊明中学校 徒歩15分 【買い物】☆コープあいち とよあけ 徒歩10分 ☆セブンイレブン豊明二村台店 徒歩10分 ☆ファミリーマート前後駅北店 徒歩10分 ☆ドラッグスギパルネス前後店 徒歩10分 【病院】☆かなざわ内科クリニック 徒歩4分 ☆豊明ぜんご眼科 徒歩4分 ☆渡辺歯科 徒歩10分 ☆前後整形外科内科クリニック 徒歩11分 ☆三田皮フ科クリニック 徒歩14分 【その他】☆碧海信用金庫豊明支店 徒歩9分 ☆豊明郵便局 徒歩14分
コメント
☆豊明間米南部土地区画整理事業地内のお土地です。 ☆名鉄本線「前後」駅まで徒歩12分の立地です。 ☆建築条件付ではございません。お好きなメーカーで建築できます。 ☆A区画・B区画を合わせた全体(約118坪)でのご相談も可能です。 【仮換地】名古屋都市計画事業 豊明間米南部土地区画整理事業 28街区7。敷地:約58.96坪 地目:山林 ※現在、区画整理地は造成中です。売買契約、土地のお引渡しは可能ですが、建物を着工できるのは令和9年4月からになります。建築会社さんとのスケジュールはもちろん、銀行さんによっては、融資が難しい場合もございますので、各銀行さんにも相談する必要があります。例えば、弊社がよく利用するJAさんなどは、土地の引渡しから2年以内に建物建築してもらえればOK。という回答でした。 ※区画整理清算金はB区画は無しの予定ですが、万が一発生した場合は買主様のご負担となります。 ※二村台小学校区・豊明中学校区ですが、区画整理完了後に変更になる可能性がございます。
●ライフラインは、上下水道・都市ガス・電気になります。 間米地区計画A地区、外壁後退1m、最低敷地面積160平米
【近隣に住んでいるスタッフから一言】
☆国道1号線まで約650m、国道23号線、伊勢湾岸道路へも近いので、お車でのアクセスも良好です。 ☆徒歩5分の所に大豆ミート専門の飲食店「モリキッチン&カフェ」があります。モーニングやランチなど楽しめます。
【ハザードマップ情報】
水防法に基づいた豊明市公表の『水害・土砂ハザードマップ』と『豊明市防災マップ』を見ると、
●東海豪雨などの100年に1度程度の大雨(24時間総雨量411mm)で外水氾濫と内水氾濫が同時に発生した場合に想定される浸水深は【0.5m~1.0m未満の区域】。
●名古屋市の年間降水量約1550mmの約半年分の雨量が24時間で降った計算になる1000年に1度程度の大雨(24時間総雨量760mm)で外水氾濫と内水氾濫が同時に発生した場合に想定される浸水深は【1.0m~3.0m未満の区域】】。
●南海トラフ巨大地震による予想震度は【震度6強】。
●液状化の可能性は【可能性小】となっています。
豊明市役所によると、「あくまで想定図であり、個々の地域・場所を厳密に調査した結果ではない」 とのことなので、目安としてお考えください。 詳しくは、豊明市のホームページもご覧いただけますと幸いです。
詳しくは、豊明市のホームページもご覧いただけますと幸いです。
☆A区画はこちら
周辺地図
位置情報に関するご注意:現在位置情報は精査中の為、正確ではない場合があります。あくまで参考程度の情報となります。